_Nasc_Bot_Lez_MZSP_Mora_El_Rodeo_Fila_Diamante_SJ_CR.jpg)
Specimen Type: holotype Sex: f Institution: MZSP Museu de Zoologia da Universidade de São Paulo, Brazil Photographer: Francisco Nascimento Collection Location: Mora El Rodeo, Fila Diamante, San Jose, Costa Rica 68530
|
_Nasc_Bot_Lez_MZSP_Mora_El_Rodeo_Fila_Diamante_SJ_CR.jpg)
Specimen Type: holotype Sex: f Institution: MZSP Museu de Zoologia da Universidade de São Paulo, Brazil Photographer: Francisco Nascimento Collection Location: Mora El Rodeo, Fila Diamante, San Jose, Costa Rica 68531
|
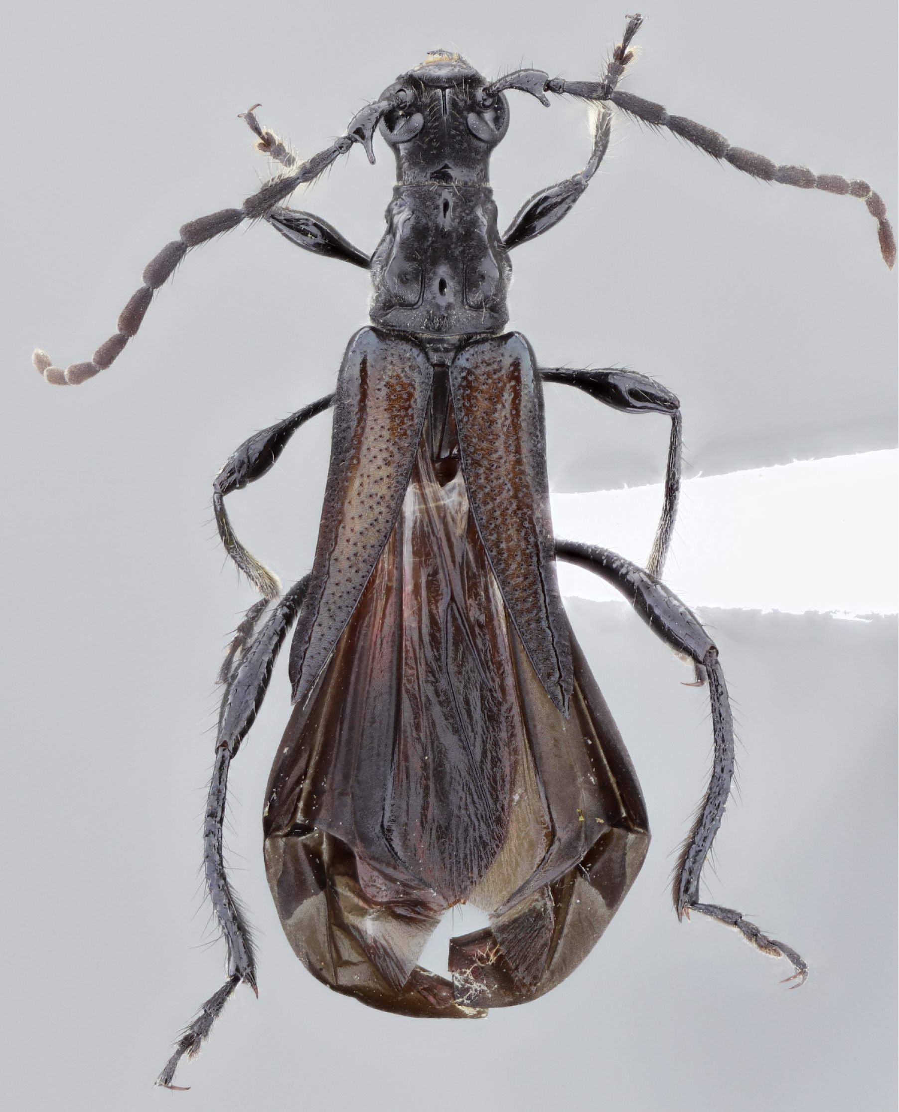
_Nasc_Bot_Lez_MZSP_Mora_El_Rodeo_Fila_Diamante_SJ_CR.jpg)
Specimen Type: holotype Sex: f Institution: MZSP Museu de Zoologia da Universidade de São Paulo, Brazil Photographer: Francisco Nascimento Collection Location: Mora El Rodeo, Fila Diamante, San Jose, Costa Rica 68532
|
_Nasc_Bot_Lez_MZSP_3kmSE_Rio_Naranjo_GU_CR.jpg)
Specimen Type: paratype Sex: m Institution: MZSP Museu de Zoologia da Universidade de São Paulo, Brazil Photographer: Francisco Nascimento Collection Location: 3 km SE Rio Naranjo, Guanacaste, Costa Rica 68533
|
_Nasc_Bot_Lez_MZSP_3kmSE_Rio_Naranjo_GU_CR.jpg)
Specimen Type: paratype Sex: m Institution: MZSP Museu de Zoologia da Universidade de São Paulo, Brazil Photographer: Francisco Nascimento Collection Location: 3 km SE Rio Naranjo, Guanacaste, Costa Rica 68534
|
_BCA_as_Merionoeda.jpg)
Institution: BCA Biologia Centrali Americana Collection Location: as Merionoeda 11527
|
_Bates_JAC_=_Oxycoleus.jpg)
Stenoptrellus culicinus Bates Institution: BMNH British Museum Natural History, London, UK Photographer: Henry Hespenheide 18572
|
_Nasc_DJH_Palmira_Centro_Boquete_Chiriqui_Panama_SS.jpg)
Sex: f Institution: Heffern Collection Photographer: Antonio Santos-Silva Collection Location: Palmira Centro, Boquete, Chiriqui, Panama 71532
|

Institution: BMNH British Museum Natural History, London, UK Photographer: J S Moure 68535
|
_Det_Chemsak_Simojval_Chiapas_Mexico_UCB_100094.jpg)
Specimen Type: maybe this taxon Institution: UCB Essig Museum of Entomology, Berkeley, California, USA Photographer: Larry G. Bezark Determiner: Chemsak Collection Location: Simojval, Chiapas, Mexico 11528
|
|