New Search
Family, Subfamily and Tribe List
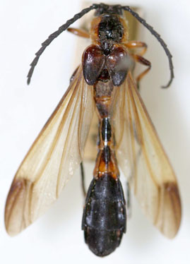
SubFamily
Cerambycinae
Tribe
incertae sedis
Rhathymoscelis peruibensis
Lane 1951
Specimen Type:
holotype
Sex:
m
Institution:
MNRJ Museu Nacional Universidade do Rio Janeiro, Brazil
Photographer:
Steve Lingafelter
Collection Location:
Peruibe, Sao Paolo, Brazil
12990
130425