_Wapp_Bot_SS_ASU_Rancho_La_Palmita_12.8KmW_Yecora_Sonora_Mex_SS.jpg)
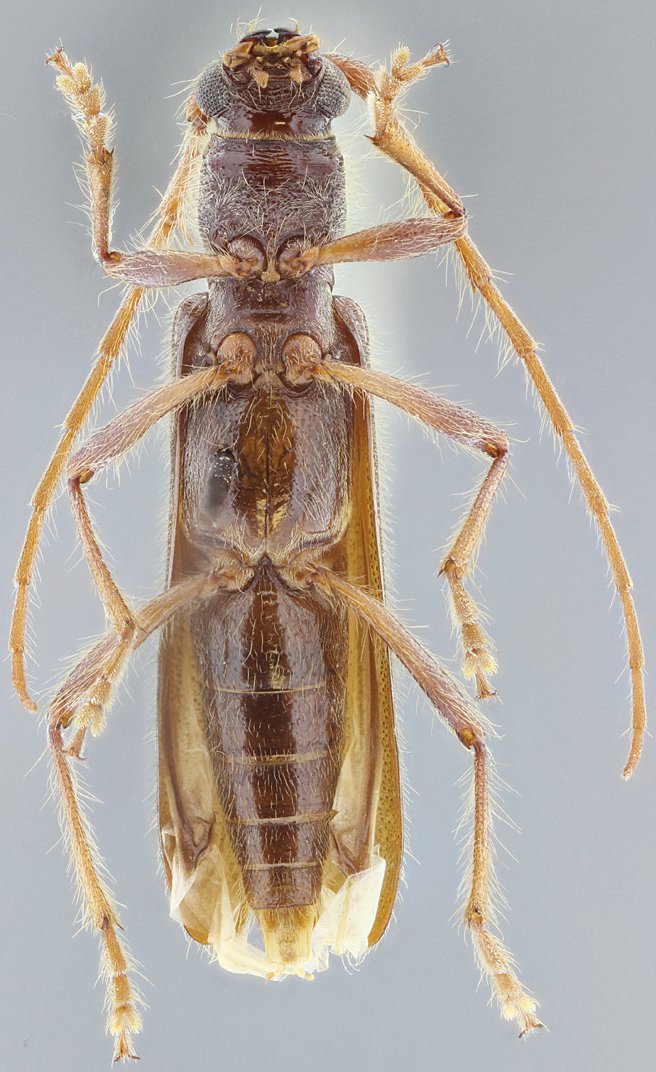
Specimen Type: holotype Sex: f Institution: ASU Hasbrouck Insect Collection, Arizona State University, Tempe, Arizona Photographer: Antonio Santos-Silva Collection Location: Rancho La Palmita, 12.8 Km W Yecora, Sonora, Mexico 68386
|
_Wapp_Bot_SS_ASU_Rancho_La_Palmita_12.8KmW_Yecora_Sonora_Mex_SS.jpg)
Specimen Type: holotype Sex: f Institution: ASU Hasbrouck Insect Collection, Arizona State University, Tempe, Arizona Photographer: Antonio Santos-Silva Collection Location: Rancho La Palmita, 12.8 Km W Yecora, Sonora, Mexico 68387
|
_Wapp_Bot_SS_ASU_Rancho_La_Palmita_12.8KmW_Yecora_Sonora_Mex_SS.jpg)
Specimen Type: holotype Sex: f Institution: ASU Hasbrouck Insect Collection, Arizona State University, Tempe, Arizona Photographer: Antonio Santos-Silva Collection Location: Rancho La Palmita, 12.8 Km W Yecora, Sonora, Mexico 68388
|
_Wapp_Bot_SS_ASU_Rancho_La_Palmita_12.8KmW_Yecora_Sonora_Mex_SS.jpg)
Specimen Type: holotype Sex: f Institution: ASU Hasbrouck Insect Collection, Arizona State University, Tempe, Arizona Photographer: Antonio Santos-Silva Collection Location: Rancho La Palmita, 12.8 Km W Yecora, Sonora, Mexico 68389
|
|