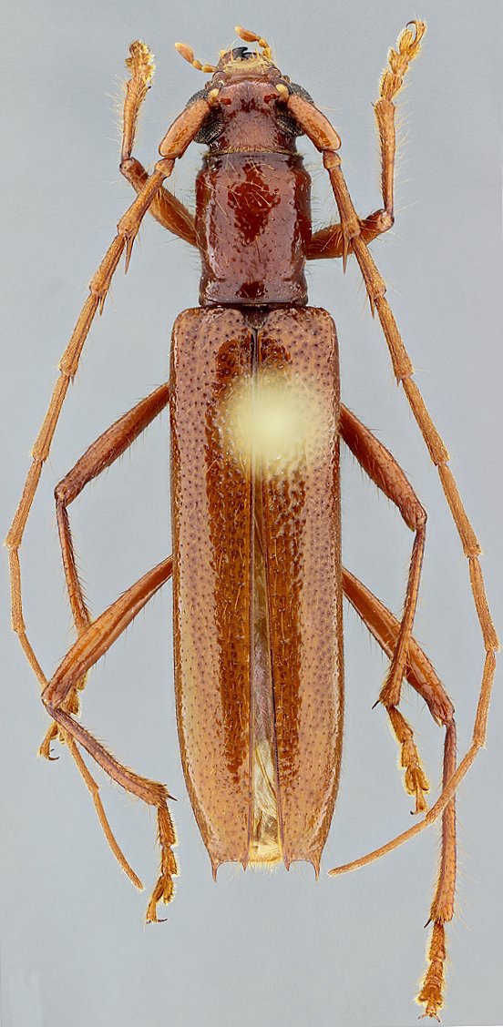
_Wapp_Bot_SS_FSCA_Cerro_Campana_Panama_SS.jpg)
Specimen Type: holotype Sex: m Institution: FSCA Florida State Collection of Arthropods, Gainesville, FL, USA Photographer: Antonio Santos-Silva Collection Location: Cerro Campana, Panama 68377
|
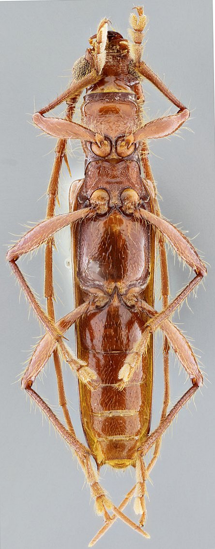
_Wapp_Bot_SS_FSCA_Cerro_Campana_Panama_SS.jpg)
Specimen Type: holotype Sex: m Institution: FSCA Florida State Collection of Arthropods, Gainesville, FL, USA Photographer: Antonio Santos-Silva Collection Location: Cerro Campana, Panama 68378
|
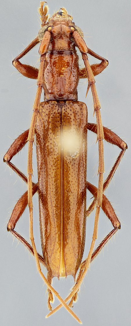
_Wapp_Bot_SS_FSCA_Cerro_Campana_Panama_SS.jpg)
Specimen Type: holotype Sex: m Institution: FSCA Florida State Collection of Arthropods, Gainesville, FL, USA Photographer: Antonio Santos-Silva Collection Location: Cerro Campana, Panama 68379
|
_Wapp_Bot_SS_FSCA_Cerro_Campana_Panama_SS.jpg)
Specimen Type: holotype Sex: m Institution: FSCA Florida State Collection of Arthropods, Gainesville, FL, USA Photographer: Antonio Santos-Silva Collection Location: Cerro Campana, Panama 68380
|
_Wapp_Bot_SS.jpg)
Specimen Type: paratype Sex: m Photographer: Antonio Santos-Silva 68381
|
|