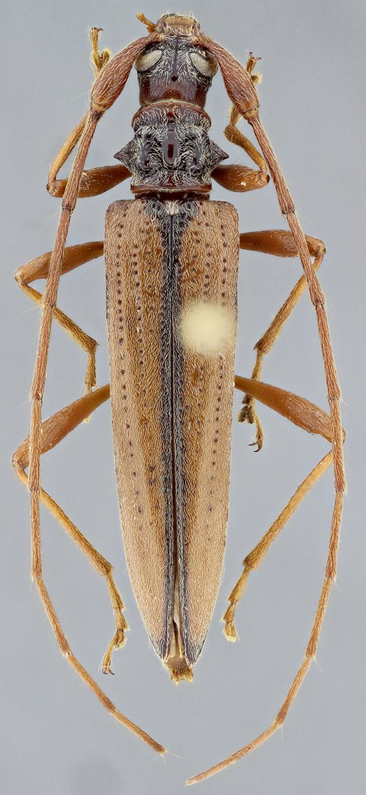
_Bot_Heff_SS_CNIN_Sierra_deJuarez_OA_Mex_SS.jpg)
Specimen Type: holotype Sex: f Institution: UNAM Instituto de Biología, Universidad Nacional Autónoma de México, Mexico City Photographer: Antonio Santos-Silva Collection Location: Sierra de Juarez, Oaxaca, Mexico 68349
|
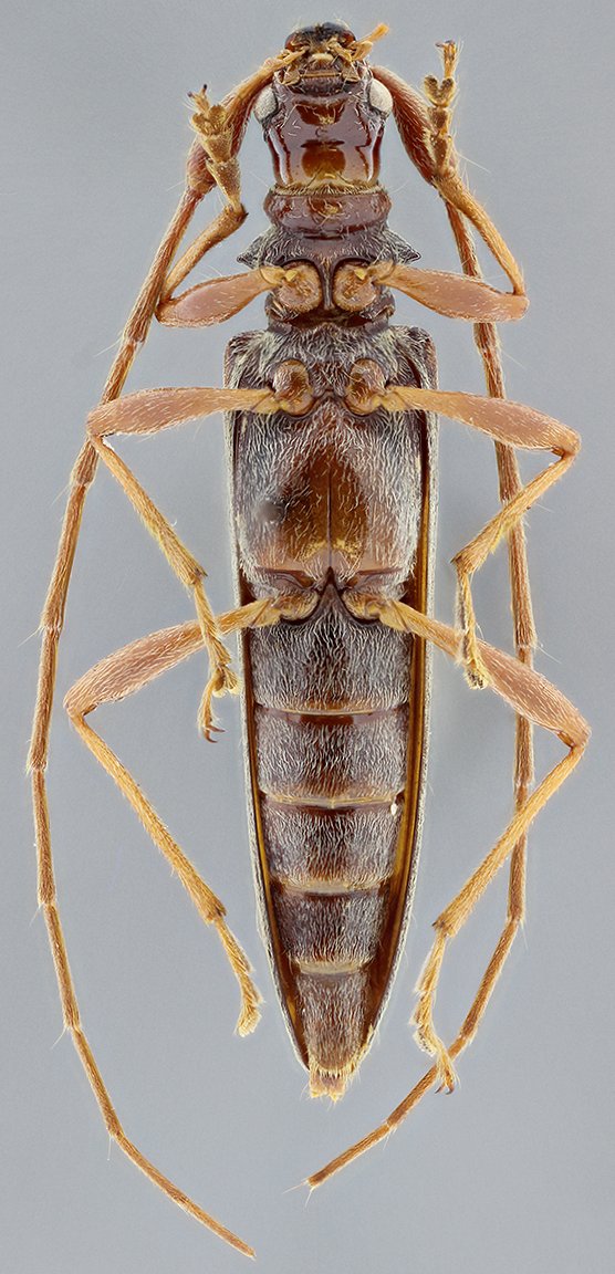
_Bot_Heff_SS_CNIN_Sierra_deJuarez_OA_Mex_SS.jpg)
Specimen Type: holotype Sex: f Institution: UNAM Instituto de Biología, Universidad Nacional Autónoma de México, Mexico City Photographer: Antonio Santos-Silva Collection Location: Sierra de Juarez, Oaxaca, Mexico 68350
|
_Bot_Heff_SS_CNIN_Sierra_deJuarez_OA_Mex_SS.jpg)
Specimen Type: holotype Sex: f Institution: UNAM Instituto de Biología, Universidad Nacional Autónoma de México, Mexico City Photographer: Antonio Santos-Silva Collection Location: Sierra de Juarez, Oaxaca, Mexico 68351
|
_Bot_Heff_SS_CNIN_Sierra_deJuarez_OA_Mex_SS.jpg)
Specimen Type: holotype Sex: f Institution: UNAM Instituto de Biología, Universidad Nacional Autónoma de México, Mexico City Photographer: Antonio Santos-Silva Collection Location: Sierra de Juarez, Oaxaca, Mexico 68352
|
|