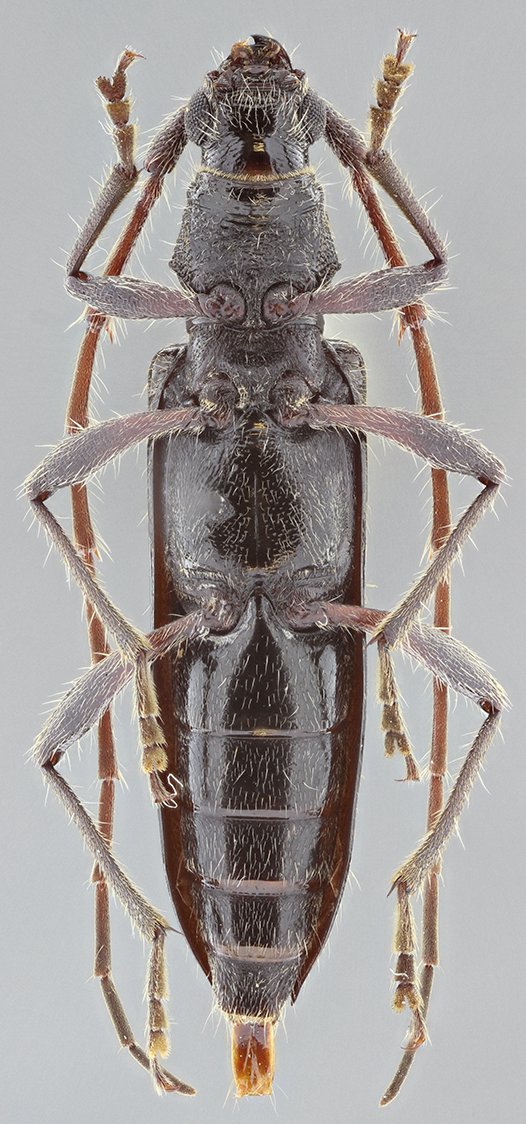
_Bot_Heff_SS_CNIN_Sierra_deSanta_Rosa_Guanajuato_Mex_SS.jpg)
Specimen Type: holotype Sex: f Institution: UNAM Instituto de Biología, Universidad Nacional Autónoma de México, Mexico City Photographer: Antonio Santos-Silva Collection Location: Sierra de Santa Rosa, Guanajuato, Mexico 68341
|
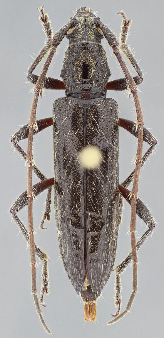
_Bot_Heff_SS_CNIN_Sierra_deSanta_Rosa_Guanajuato_Mex_SS.jpg)
Specimen Type: holotype Sex: f Institution: UNAM Instituto de Biología, Universidad Nacional Autónoma de México, Mexico City Photographer: Antonio Santos-Silva Collection Location: Sierra de Santa Rosa, Guanajuato, Mexico 68342
|
_Bot_Heff_SS_CNIN_Sierra_deSanta_Rosa_Guanajuato_Mex_SS.jpg)
Specimen Type: holotype Sex: f Institution: UNAM Instituto de Biología, Universidad Nacional Autónoma de México, Mexico City Photographer: Antonio Santos-Silva Collection Location: Sierra de Santa Rosa, Guanajuato, Mexico 68343
|
_Bot_Heff_SS_CNIN_Sierra_deSanta_Rosa_Guanajuato_Mex_SS.jpg)
Specimen Type: holotype Sex: f Institution: UNAM Instituto de Biología, Universidad Nacional Autónoma de México, Mexico City Photographer: Antonio Santos-Silva Collection Location: Sierra de Santa Rosa, Guanajuato, Mexico 68344
|
|