_Bot_Heff_SS_MZSP_Vereda_Chicoral_Munic_delaCumbreValle_deCauca_Col_SS.jpg)
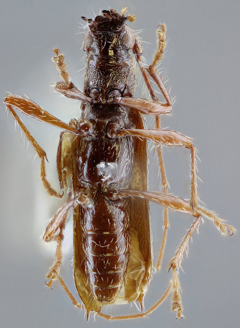
Specimen Type: holotype Sex: m Institution: MZSP Museu de Zoologia da Universidade de São Paulo, Brazil Photographer: Antonio Santos-Silva Collection Location: Vereda Chicoral, Municipio de la Cumbre, Valle de Cauca, Colombia 68337
|
_Bot_Heff_SS_MZSP_Vereda_Chicoral_Munic_delaCumbreValle_deCauca_Col_SS.jpg)
Specimen Type: holotype Sex: m Institution: MZSP Museu de Zoologia da Universidade de São Paulo, Brazil Photographer: Antonio Santos-Silva Collection Location: Vereda Chicoral, Municipio de la Cumbre, Valle de Cauca, Colombia 68338
|
_Bot_Heff_SS_MZSP_Vereda_Chicoral_Munic_delaCumbreValle_deCauca_Col_SS.jpg)
Specimen Type: holotype Sex: m Institution: MZSP Museu de Zoologia da Universidade de São Paulo, Brazil Photographer: Antonio Santos-Silva Collection Location: Vereda Chicoral, Municipio de la Cumbre, Valle de Cauca, Colombia 68339
|
_Bot_Heff_SS_MZSP_Vereda_Chicoral_Munic_delaCumbreValle_deCauca_Col_SS.jpg)
Specimen Type: holotype Sex: m Institution: MZSP Museu de Zoologia da Universidade de São Paulo, Brazil Photographer: Antonio Santos-Silva Collection Location: Vereda Chicoral, Municipio de la Cumbre, Valle de Cauca, Colombia 68340
|
|