_Gounelle_MNHN_FTH.jpg)
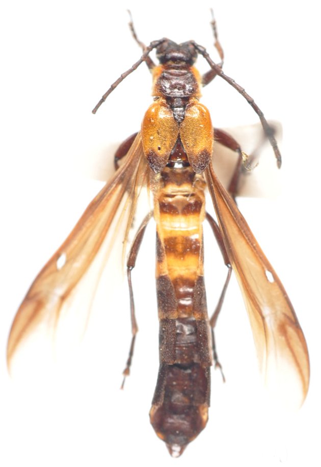
Specimen Type: holotype Sex: f Institution: MNHN Museum of Natural History Paris, France Collection Location: Caraça, Minas Gerais, Brazil 18419
|

Institution: MNRJ Museu Nacional Universidade do Rio Janeiro, Brazil Photographer: Marcela Monne Collection Location: Serro do Caraca, Minas Gerais, Brazil 62326
|