New Search Family, Subfamily and Tribe List

SubFamily Cerambycinae

Tribe Torneutini
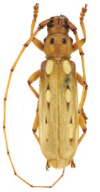
Coccoderus spinulicornis Joly 2017

Specimen Type: holotype
Sex: m
Institution: MIZA Museuo del Instituto de Zoología Agrícola, Maracay, Venezuela
Collection Location: Jabillal, Rio Caura al Sur de Maripa, Estado Bolivar, Venezuela
68194

130425