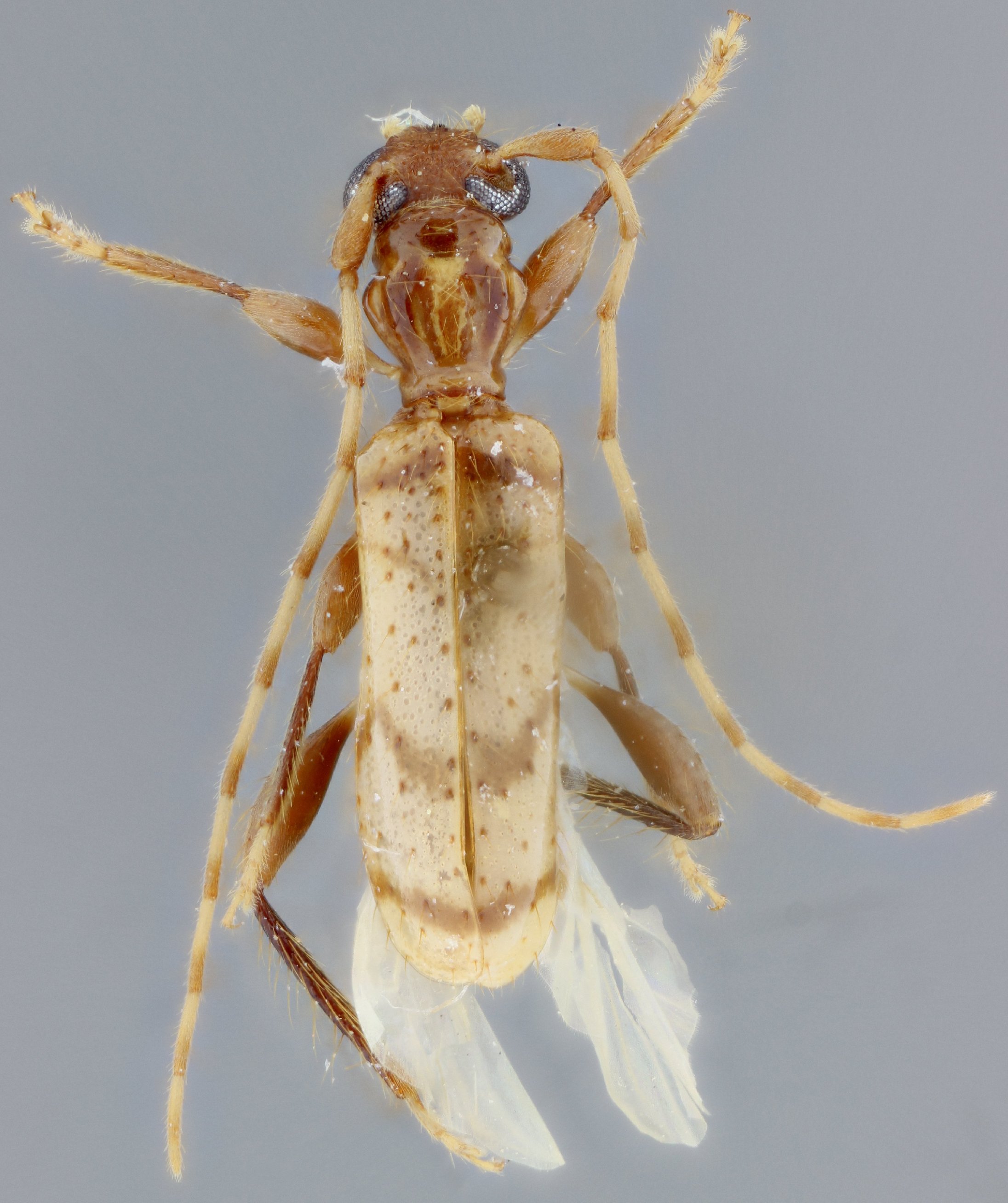
_M_G_MZSP_Mag_Tayrona_NP_Pueblito_Colom.jpg)
Specimen Type: paratype Sex: f Institution: MZSP Museu de Zoologia da Universidade de São Paulo, Brazil Photographer: Antonio Santos-Silva Collection Location: Tayrona, Nacional Parque Natural, Pueblito, Magdalena, Colombia 68198
|
_M_G_MZSP_Mag_Tayrona_NP_Pueblito_Colom.jpg)
Specimen Type: paratype Sex: f Institution: MZSP Museu de Zoologia da Universidade de São Paulo, Brazil Photographer: Antonio Santos-Silva Collection Location: Tayrona, Nacional Parque Natural, Pueblito, Magdalena, Colombia 68199
|