_Vives_coll_Heffern_Mt_Trus_Madi_Sabah_Borneo.jpg)
Specimen Type: holotype Sex: m Institution: Vives Collection Collection Location: Mt Trus Madi, Sabah, Borneo 68000
|
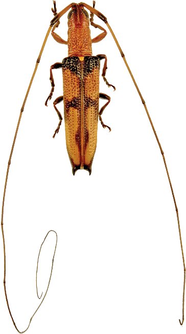
 Vives & Heffern coll Mt Trus Madi, Sabah, Borneo.jpg)
Specimen Type: holotype Sex: m Institution: Heffern Collection Photographer: Eduard Vives Collection Location: Mt Trus Madi, Sabah, Borneo 89724
|