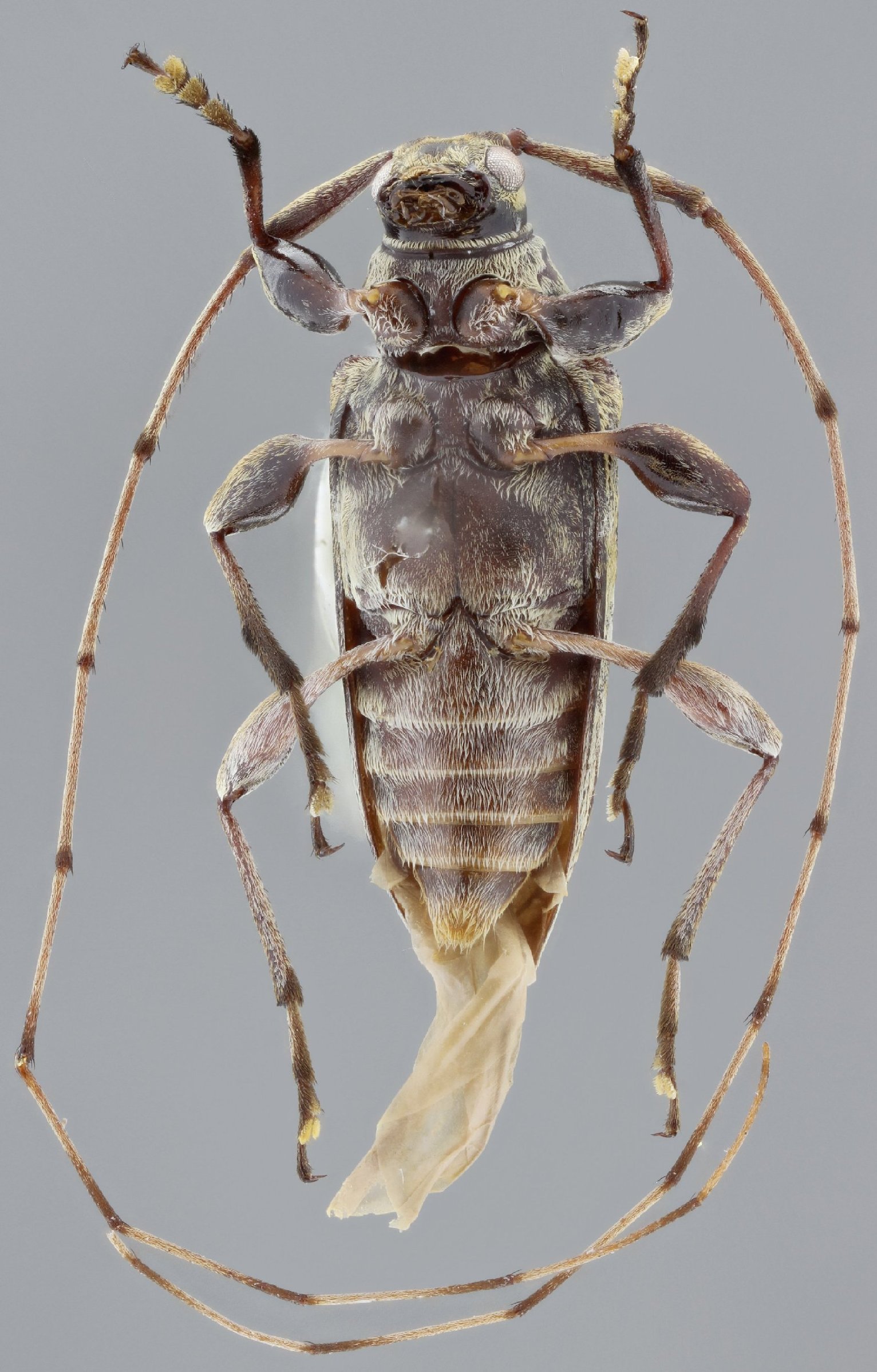
_Nascimento_MZSP_vic_Minca_Magdalena_Colombia.jpg)
Specimen Type: holotype Sex: m Institution: MZSP Museu de Zoologia da Universidade de São Paulo, Brazil Photographer: Antonio Santos-Silva Collection Location: vic Minca, Magdalena, Colombia 67851
|
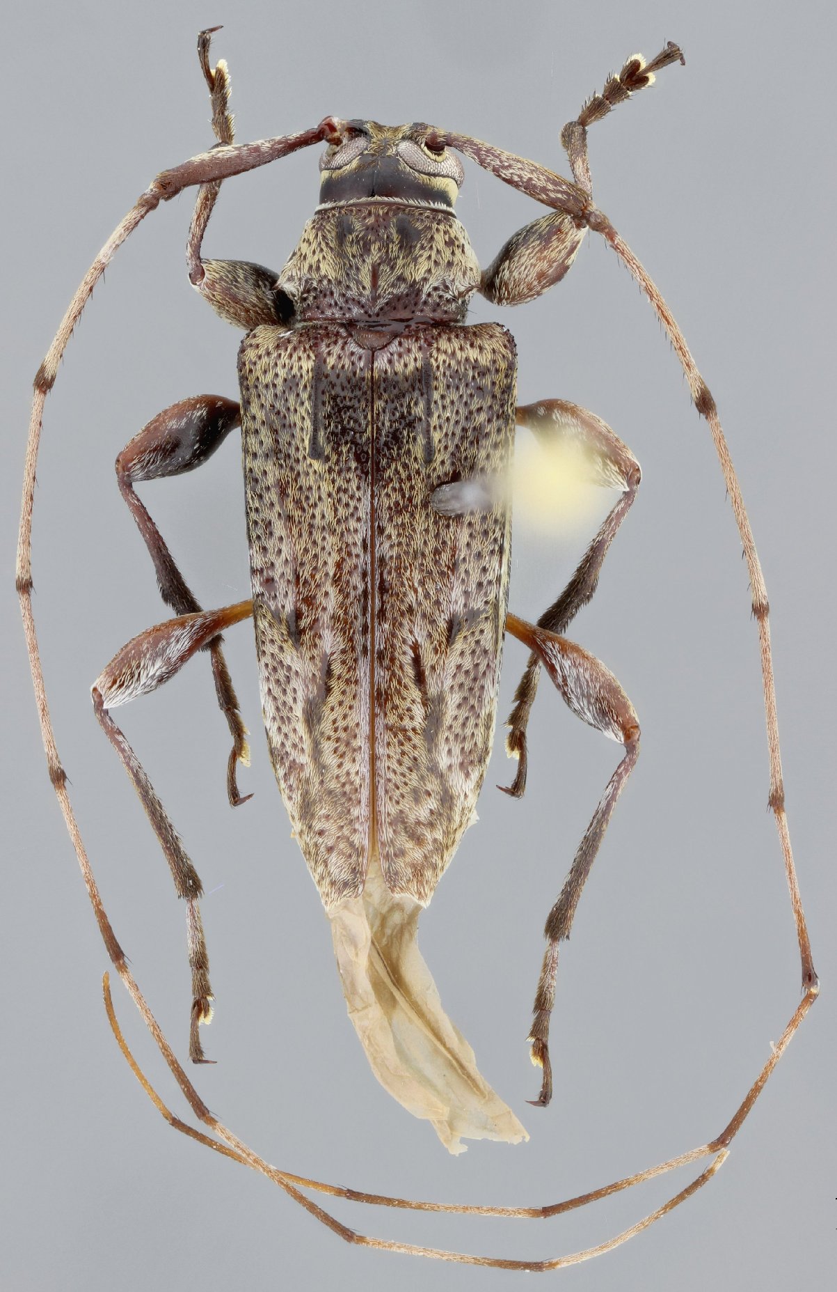
_Nascimento_MZSP_vic_Minca_Magdalena_Colombia.jpg)
Specimen Type: holotype Sex: m Institution: MZSP Museu de Zoologia da Universidade de São Paulo, Brazil Photographer: Antonio Santos-Silva Collection Location: vic Minca, Magdalena, Colombia 67852
|
_Nascimento_MZSP_vic_Minca_Magdalena_Colombia.jpg)
Specimen Type: holotype Sex: m Institution: MZSP Museu de Zoologia da Universidade de São Paulo, Brazil Photographer: Antonio Santos-Silva Collection Location: vic Minca, Magdalena, Colombia 67853
|
_Nascimento_MZSP_vic_Minca_Magdalena_Colombia.jpg)
Specimen Type: holotype Sex: m Institution: MZSP Museu de Zoologia da Universidade de São Paulo, Brazil Photographer: Antonio Santos-Silva Collection Location: vic Minca, Magdalena, Colombia 67854
|
|