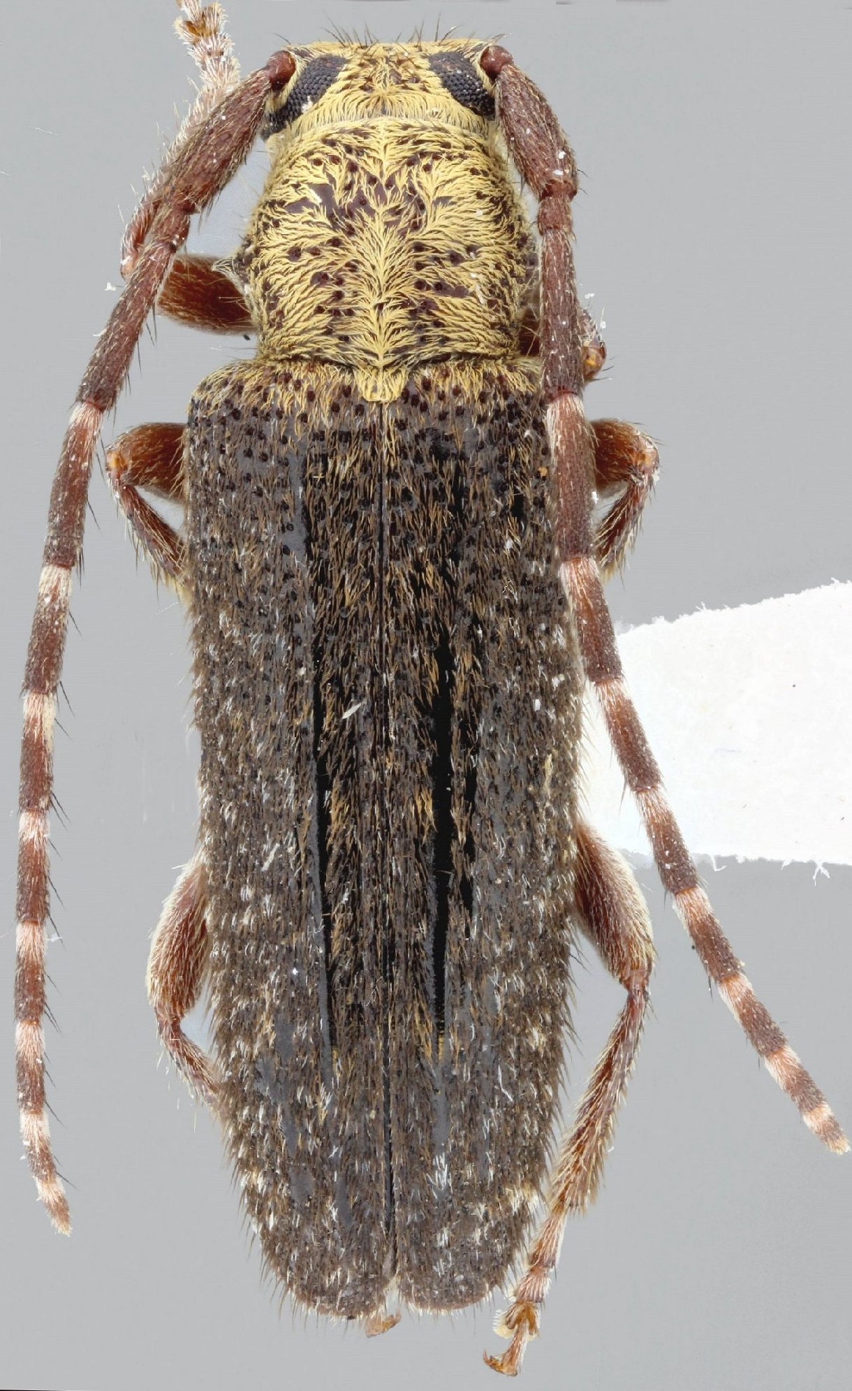
_Nascimento_FSCA_16km_W_Sontecomapan_Veracruz_Mexico.jpg)
Specimen Type: holotype Sex: m Institution: FSCA Florida State Collection of Arthropods, Gainesville, FL, USA Photographer: Antonio Santos-Silva Collection Location: 16 km W Sontecomapan, Veracruz, Mexico 67858
|
_Nascimento_FSCA_16km_W_Sontecomapan_Veracruz_Mexico.jpg)
Specimen Type: holotype Sex: m Institution: FSCA Florida State Collection of Arthropods, Gainesville, FL, USA Photographer: Antonio Santos-Silva Collection Location: 16 km W Sontecomapan, Veracruz, Mexico 67859
|
_Nascimento_FSCA_16km_W_Sontecomapan_Veracruz_Mexico.jpg)
Specimen Type: holotype Sex: m Institution: FSCA Florida State Collection of Arthropods, Gainesville, FL, USA Photographer: Antonio Santos-Silva Collection Location: 16 km W Sontecomapan, Veracruz, Mexico 67860
|
_Nascimento_FSCA_16km_W_Sontecomapan_Veracruz_Mexico.jpg)
Specimen Type: holotype Sex: m Institution: FSCA Florida State Collection of Arthropods, Gainesville, FL, USA Photographer: Antonio Santos-Silva Collection Location: 16 km W Sontecomapan, Veracruz, Mexico 67861
|
_MZSP_16kmW_Sontecomapan_VC_det_Mtns.jpg)
Specimen Type: holotype Sex: m Institution: MZSP Museu de Zoologia da Universidade de São Paulo, Brazil Photographer: Larry G. Bezark Collection Location: 16 km W, Sontecomapan, Veracruz, Mexico 33291
|
|