New Search Family, Subfamily and Tribe List

SubFamily Cerambycinae

Tribe Clytini
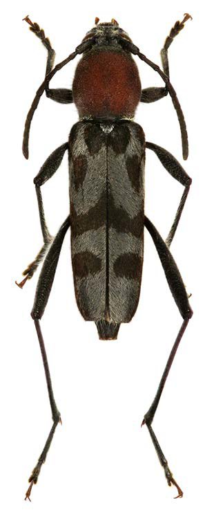
Perissus turbidus Viktora & Tichư 2017

Specimen Type: holotype
Sex: f
Institution: Viktora Collection
Photographer: Petr Viktora
Collection Location: Dak Lak Province, Vietnam
71248

130425