New Search Family, Subfamily and Tribe List

SubFamily Cerambycinae

Tribe Clytini
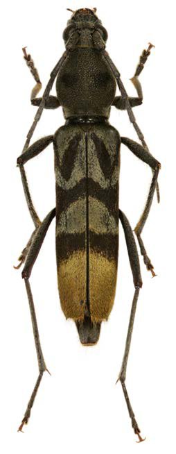
Demonax protervus Viktora & Tichư 2017

Specimen Type: holotype
Sex: f
Institution: Tichư Collection
Photographer: Petr Viktora
Collection Location: Dambri Waterfall, Boo Lam District, Lam Dong Province, Vietnam
71246

130425