_Viktora_Coll_Tichy_Di_Linh_Dist_Lam_Dong_Prov_Vietnam_.jpg)
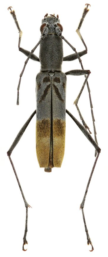
Specimen Type: holotype Sex: f Institution: Viktora Collection Photographer: Petr Viktora Collection Location: Di Linh District, Lam Dong, Province, Vietnam 71247
|

Institution: JCPC Jim Cope Collection, San Jose, California, USA now at CSCA, Sacramento Photographer: Larry G. Bezark Determiner: Jim Cope Collection Location: Bao Loc, Lam Dong Province, Vietnam 98716
|