_Yama_Heff_EUMJ_Mt_Bawang_W_Kalimantan_Indonesia.jpg)
Specimen Type: holotype Sex: m Institution: EUMJ Entomology laboratory, Ehime University Museum, Matsuyama, Japan Photographer: Junsuke Yamasako Collection Location: Mt Bawang, West Kalimantan, Indonesia 71456
|
_Yama_Heff_EUMJ_Mt_Bawang_W_Kalimantan_Indonesia.jpg)
Specimen Type: holotype Sex: m Institution: EUMJ Entomology laboratory, Ehime University Museum, Matsuyama, Japan Photographer: Junsuke Yamasako Collection Location: Mt Bawang, West Kalimantan, Indonesia 71457
|
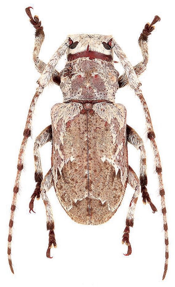
_Yama_Heff_EUMJ_Mt_Bawang_W_Kalimantan_Indonesia.jpg)
Specimen Type: paratype Sex: f Institution: EUMJ Entomology laboratory, Ehime University Museum, Matsuyama, Japan Photographer: Junsuke Yamasako Collection Location: Mt Bawang, West Kalimantan, Indonesia 71458
|
_Yama_Heff_EUMJ_Mt_Bawang_W_Kalimantan_Indonesia.jpg)
Specimen Type: paratype Sex: f Institution: EUMJ Entomology laboratory, Ehime University Museum, Matsuyama, Japan Photographer: Junsuke Yamasako Collection Location: Mt Bawang, West Kalimantan, Indonesia 71459
|
|