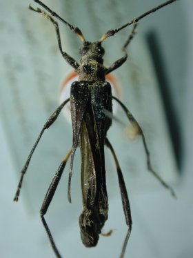
_Newman_BMNH_Chiloe_Is_Chile_LGB.jpg)
Hephaestion macer Newman Specimen Type: holotype Institution: BMNH British Museum Natural History, London, UK Photographer: Larry G. Bezark Collection Location: Chiloe Island, Chile 46844
|
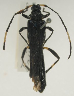
_Newman_BMNH_Chiloe_Is_Chile_LGB.jpg)
Hephaestion macer Newman Specimen Type: holotype Institution: BMNH British Museum Natural History, London, UK Photographer: Larry G. Bezark Collection Location: Chiloe Island, Chile 46845
|
_Det_Tippmann_USNM_LGB.jpg)
Institution: NMNH United States National Museum, Washington, DC, USA Photographer: Larry G. Bezark Determiner: F. Tippmann 26065
|
_Det_Tippmann_USNM_LGB.jpg)
Institution: NMNH United States National Museum, Washington, DC, USA Photographer: Larry G. Bezark Determiner: F. Tippmann 26066
|
_JB.jpg)
Photographer: Juan Barriga Tunon Collection Location: Valdivia, Chile 29328
|
_JB.jpg)
Photographer: Juan Barriga Tunon Collection Location: Valdivia, Chile 29329
|
_JB.jpg)
Photographer: Juan Barriga Tunon Collection Location: Valdivia, Chile 29330
|
_JB.jpg)
Photographer: Juan Barriga Tunon Collection Location: Valdivia, Chile 29331
|
_Heffern_TAMU_photo0653.jpg)
Institution: TAMU Texas A & M University, College Station, Texas, USA Photographer: Dan Heffern 21001
|
|