New Search Family, Subfamily and Tribe List

SubFamily Lamiinae

Tribe Acanthocinini
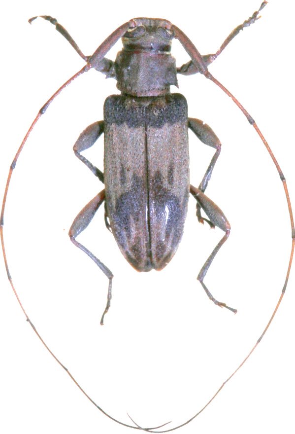
Lepturges peruviensis Audureau 2018

Specimen Type: holotype
Sex: m
Institution: Audureau Collection
Photographer: Alain Audureau
Collection Location: Pozuzo, Oxapampa Province, Pasco Region, Peru
68075

130425