New Search Family, Subfamily and Tribe List

SubFamily Lamiinae

Tribe Acanthocinini
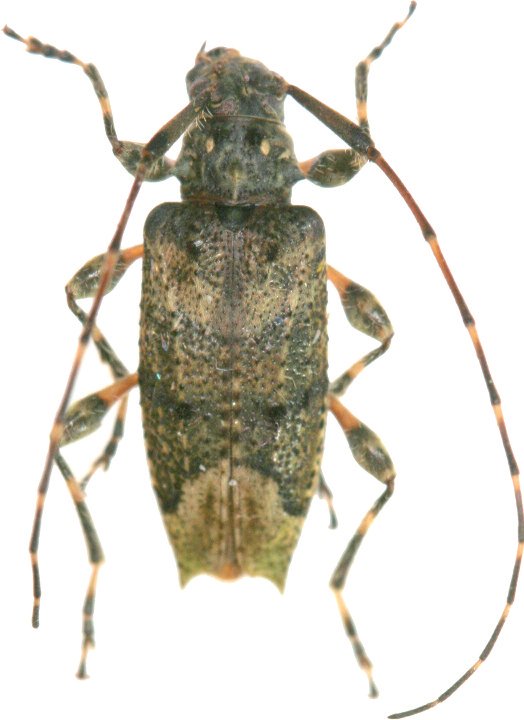
Onalcidion lingafelteri Audureau 2018

Specimen Type: holotype
Sex: f
Institution: Audureau Collection
Photographer: Alain Audureau
Collection Location: road to Duitana, Santander, Colombia
68096

130425