New Search Family, Subfamily and Tribe List

SubFamily Lamiinae

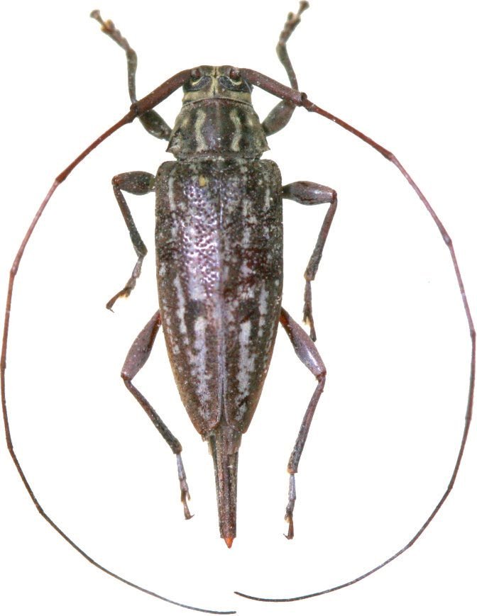
Tribe Acanthocinini
Nyssodrysternum drumonti Audureau 2018

Specimen Type: holotype
Sex: f
Institution: Audureau Collection
Photographer: Alain Audureau
Collection Location: Tingo Maria, Huanuco, Peru
68089

130425