_Vlasak_SS_MZSP_Tarcoles_PU_Costa_Rica.jpg)
Specimen Type: holotype Sex: m Institution: MZSP Museu de Zoologia da Universidade de São Paulo, Brazil Photographer: Antonio Santos-Silva Collection Location: Tarcoles, Puntarenas, Costa Rica 67216
|
_Vlasak_SS_MZSP_Tarcoles_PU_Costa_Rica.jpg)
Specimen Type: holotype Sex: m Institution: MZSP Museu de Zoologia da Universidade de São Paulo, Brazil Photographer: Antonio Santos-Silva Collection Location: Tarcoles, Puntarenas, Costa Rica 67217
|
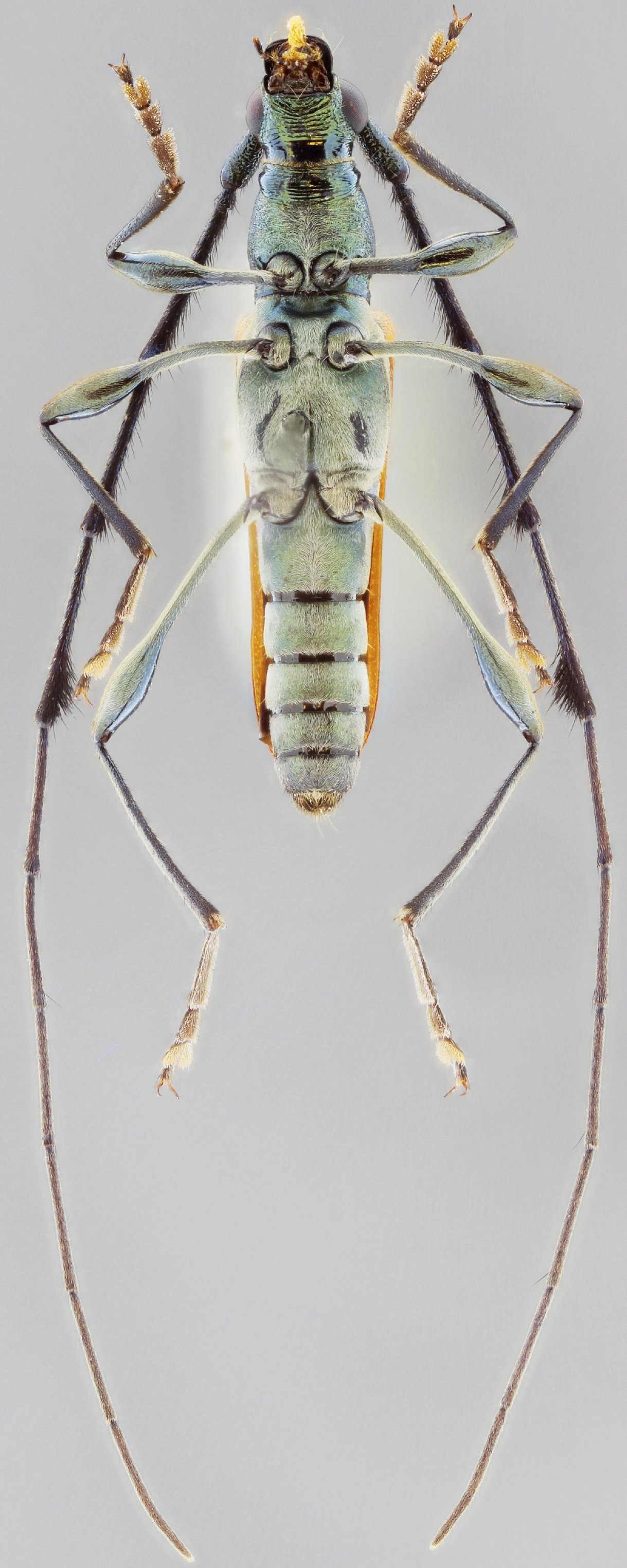
_Vlasak_SS_MZSP_Tarcoles_PU_Costa_Rica.jpg)
Specimen Type: holotype Sex: m Institution: MZSP Museu de Zoologia da Universidade de São Paulo, Brazil Photographer: Antonio Santos-Silva Collection Location: Tarcoles, Puntarenas, Costa Rica 67218
|
_Vlasak_SS_MZSP_Tarcoles_PU_Costa_Rica.jpg)
Specimen Type: holotype Sex: m Institution: MZSP Museu de Zoologia da Universidade de São Paulo, Brazil Photographer: Antonio Santos-Silva Collection Location: Tarcoles, Puntarenas, Costa Rica 67219
|
_Vlasak_coll_SS_Tarcoles_PU_Costa_Rica.jpg)
Specimen Type: paratype Sex: f Institution: Vlasak Collection Photographer: Antonio Santos-Silva Collection Location: Tarcoles, Puntarenas, Costa Rica 67220
|
|