New Search Family, Subfamily and Tribe List

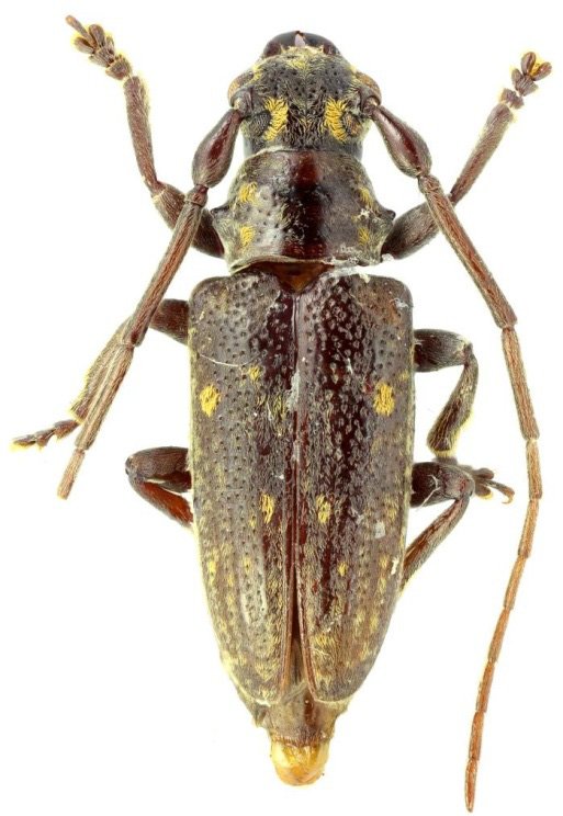
SubFamily Lamiinae

Tribe Homonoeini
Filipinmulciber mindanaoanus Barševskis 2017

Specimen Type: holotype
Sex: m
Institution: DUBC Daugavpils University, Coleopterological Research Center, Latvia
Photographer: Barševskis
Collection Location: Panamokan, Bukidnon, Mindanao, Philippines
71213

130425