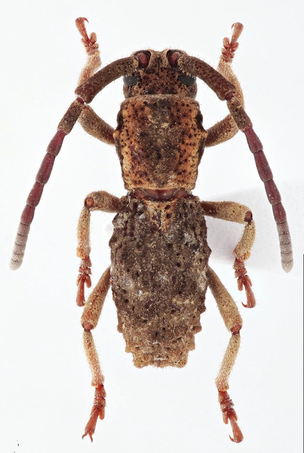
 Gabris UBDC Kuala Belalong, Ulu Temburong NP, Brunei.jpg)
Specimen Type: holotype Sex: m Institution: UBDC University of Brunei, Darussalam, Brunei Photographer: Radim Gabris Collection Location: Kuala Belalong, Ulu Temburong NP, Brunei 90621
|
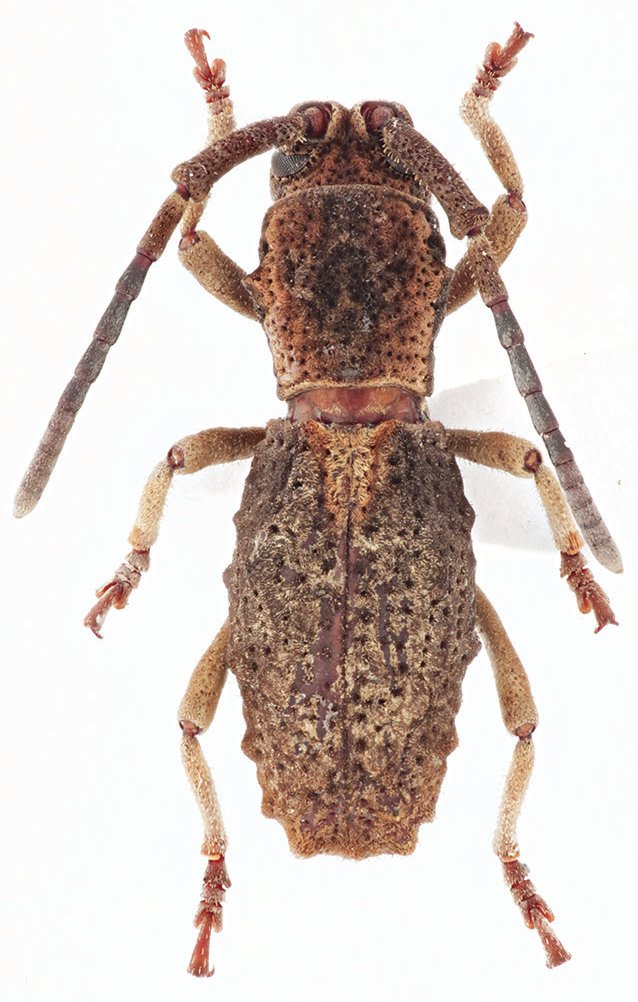
 Gabris BMNH Kuala Belalong, Ulu Temburong NP, Brunei.jpg)
Specimen Type: paratype Sex: f Institution: BMNH British Museum Natural History, London, UK Photographer: Radim Gabris Collection Location: Kuala Belalong, Ulu Temburong NP, Brunei 90622
|