New Search Family, Subfamily and Tribe List

SubFamily Lamiinae

Tribe Desmiphorini
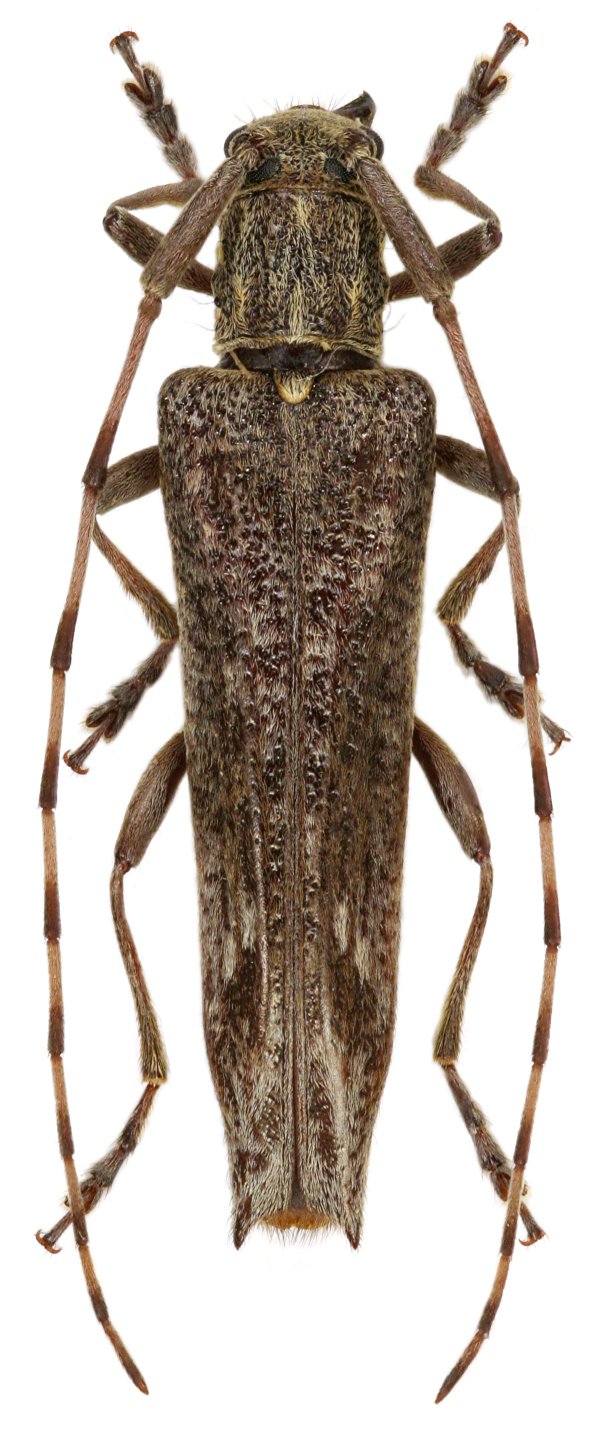
Euseboides liubini Viktora & Tichư 2018

Specimen Type: holotype
Sex: f
Institution: Viktora Collection
Photographer: Petr Viktora
Collection Location: Gaoligong Shan Mtns, rd from Liuku to Pianma, Yunnan, China
77132

130425