New Search Family, Subfamily and Tribe List

SubFamily Apatophyseinae

Tribe
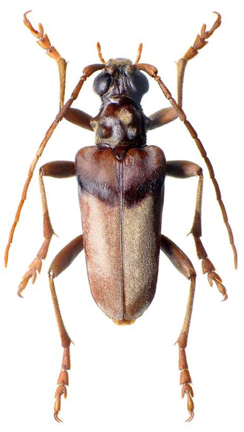
Apheledes peyrierasi Villiers, Quentin & Vives 2011

Sex: m
Photographer: Ivo Jenis
Collection Location: Andasibe, (Perinet), Madagascar
89316

130425