New Search Family, Subfamily and Tribe List

SubFamily Apatophyseinae

Tribe
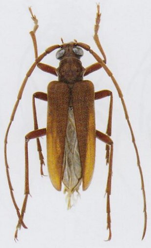
Apatophysis insolita Miroshnikov & Lin 2017

Sex: m
Photographer: Meiying Lin
Collection Location: Qinling Mountains, China
73337

130425