 Mirosh BMNH Ngoc Linh, Kon Tum Province, Vietnam.jpg)
Specimen Type: holotype Sex: m Institution: BMNH British Museum Natural History, London, UK Photographer: Alexandr Miroshnikov Collection Location: Linh, Kon Tum Province, Vietnam 79478
|
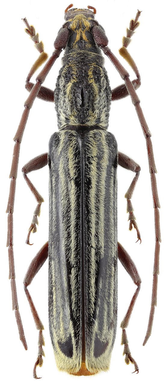
 Mirosh BMNH Ngoc Linh, Kon Tum Province, Vietnam.jpg)
Specimen Type: paratype Sex: f Institution: BMNH British Museum Natural History, London, UK Photographer: Alexandr Miroshnikov Collection Location: Linh, Kon Tum Province, Vietnam 79479
|