New Search Family, Subfamily and Tribe List

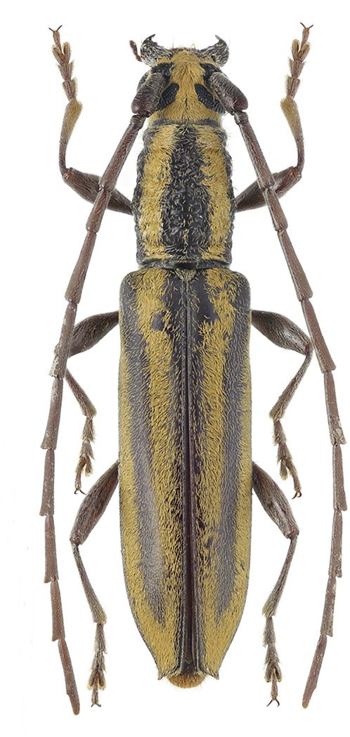
SubFamily Cerambycinae

Tribe Cerambycini
Dymasius murzini Miroshnikov 2017

Specimen Type: holotype
Sex: f
Institution: Murzin Collection
Photographer: Alexandr Miroshnikov
Collection Location: Kitugala, Sri Lanka
38498

130425