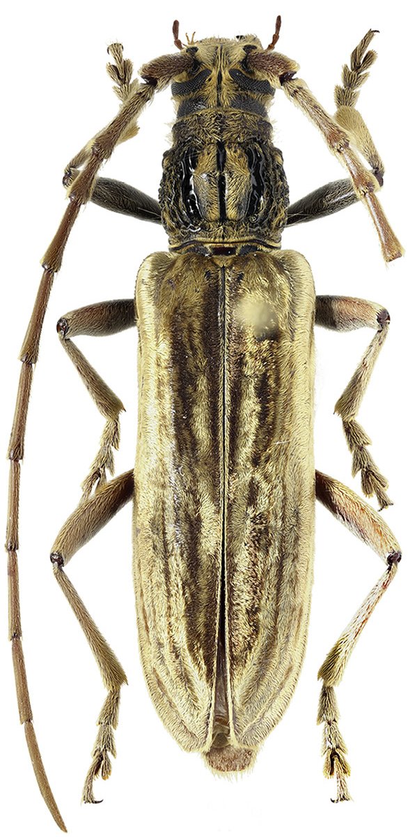
 Miroshnikov Vitali coll Mount Bato, Quang Ngai Province, Vietnam.jpg)
Specimen Type: holotype Sex: m Institution: Vitali Collection Photographer: Alexandr Miroshnikov Collection Location: Mount Bato, Quang Ngai Province, Vietnam 79422
|
 Miroshnikov ZSAM Mount Bato, Quang Ngai Province, Vietnam.jpg)
Specimen Type: paratype Sex: f Institution: ZSM Zoologische Staatssammlung, München, Germany Photographer: Alexandr Miroshnikov Collection Location: Mount Bato, Quang Ngai Province, Vietnam 79423
|