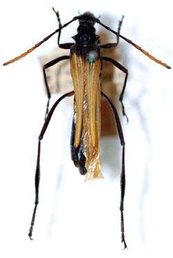
_Melzer_MZSP_SWL_=_Parahephaestion_zikani.jpg)
Hephaestion zikani Melzer Specimen Type: syntype Sex: f Institution: MZSP Museu de Zoologia da Universidade de São Paulo, Brazil Photographer: Steve Lingafelter Collection Location: Passa Quatro, Fazenda dos Campos, Minas Gerais, Brazil 8254
|
 Melzer MZSP Passa Quatro, Fazenda dos Campos, Minas Gerais, Brazil now Para Moure.jpg)
Hephaestion zikani Melzer Specimen Type: syntype Sex: f Institution: MZSP Museu de Zoologia da Universidade de São Paulo, Brazil Photographer: JS Moure Collection Location: Passa Quatro, Fazenda dos Campos, Minas Gerais, Brazil 101830
|