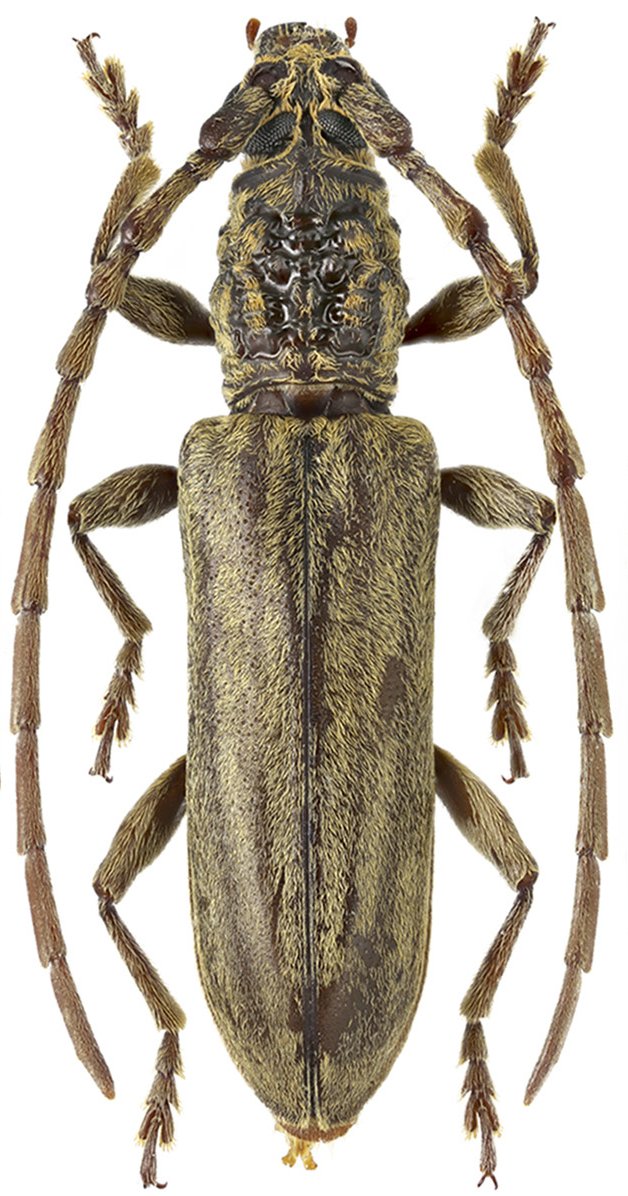
 Mirosh NHMD Mt Trus Madi, Sabah, Borneo.jpg)
Specimen Type: holotype Sex: m Institution: NHMD Natural History Museum of Denmark, Copenhagen, Denmark Photographer: Alexandr Miroshnikov Collection Location: Mt Trus Madi, Sabah, Borneo 79442
|
 Mirosh coll Mt Trus Madi, Sabah, Borneo.jpg)
Specimen Type: paratype Sex: f Institution: Miroshnikov Collection Photographer: Alexandr Miroshnikov Collection Location: Mt Trus Madi, Sabah, Borneo 79443
|