 Melzer MZSP Passa Quatro, Fazenda dos Campos, Minas Gerais, Brazil now Para Moure.jpg)
Hephaestion brasiliense Melzer Specimen Type: holotype Sex: m? Institution: MZSP Museu de Zoologia da Universidade de São Paulo, Brazil Photographer: JS Moure Collection Location: Passa Quatro, Fazenda dos Campos, Minas Gerais, Brazil 101829
|
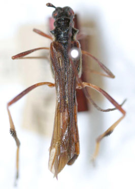
_Melzer_MZSP_SWL_=_Parahephaestion_brasiliensis.jpg)
Hephaestion brasiliense Melzer Specimen Type: holotype Sex: m? Institution: MZSP Museu de Zoologia da Universidade de São Paulo, Brazil Photographer: Steve Lingafelter Collection Location: Passa Quatro, Fazenda dos Campos, Minas Gerais, Brazil 8245
|