New Search Family, Subfamily and Tribe List

SubFamily Lamiinae

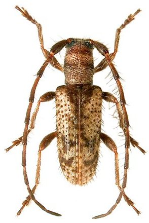
Tribe Gyaritini
Paradriopea immunda Holzschuh 2017

Specimen Type: holotype
Sex: m
Institution: Holzschuh Collection
Photographer: Luboš Dembický
Collection Location: Doi Pui, Chiang Mai, NW Thailand
76256

130425