 Holzschuh coll 25km SW Badulla, Idalgashinna, Sri Lanka LD.jpg)
Specimen Type: holotype Sex: m Institution: Holzschuh Collection Photographer: Lubo Dembický Collection Location: 25 km SW Badulla, Idalgashinna, Sri Lanka 76235
|
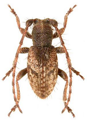
 Holzschuh coll 25km SW Badulla, Idalgashinna, Sri Lanka LD.jpg)
Specimen Type: paratype Sex: f Institution: Holzschuh Collection Photographer: Lubo Dembický Collection Location: 25 km SW Badulla, Idalgashinna, Sri Lanka 76236
|