_Linsley_and_Chemsak_CAS_11575.jpg)
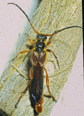
Specimen Type: holotype Sex: m Institution: CAS California Academy of Sciences, San Francisco, CA, USA Photographer: Larry G. Bezark Collection Location: Oso Flaco Lake, San Luis Obispo Canyon, California 23518
|

Institution: CAS California Academy of Sciences, San Francisco, CA, USA Photographer: Larry G. Bezark 2112
|