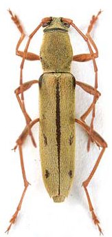
_Holzschuh_Coll_Phu_Kradung_NP_Loei_Prov_NE_Thailand_LD.jpg)
Specimen Type: holotype Sex: m Institution: Holzschuh Collection Photographer: Lubo Dembický Collection Location: Phu Kradung National Park, Loei Province, NE Thailand 71321
|
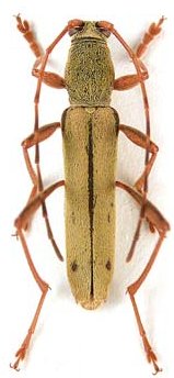
_Holzschuh_Coll_Phu_Kradung_NP_Loei_Prov_NE_Thailand_LD.jpg)
Specimen Type: paratype Sex: f Institution: Holzschuh Collection Photographer: Lubo Dembický Collection Location: Phu Kradung National Park, Loei Province, NE Thailand 71322
|