_Holzschuh_Coll_20kmNW_Louang_Namtha_N_Laos_LD.jpg)
Specimen Type: holotype Sex: f Institution: Holzschuh Collection Photographer: Lubo Dembický Collection Location: 20 km NW Louang Namtha, N Laos 71267
|
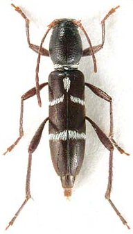
_Holzschuh_Coll_20kmNW_Louang_Namtha_N_Laos_LD.jpg)
Specimen Type: paratype Sex: f Institution: Holzschuh Collection Photographer: Lubo Dembický Collection Location: 20 km NW Louang Namtha, N Laos 71268
|