New Search Family, Subfamily and Tribe List

SubFamily Cerambycinae

Tribe Clytini
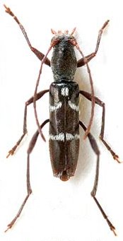
Amamiclytus monadis Holzschuh 2018

Specimen Type: holotype
Sex: m
Institution: Holzschuh Collection
Photographer: Luboš Dembický
Collection Location: 20 km NW Louang Namtha, N Laos
71269

130425