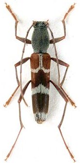
_Holzschuh_Coll_Jowai_Jainta_hills_region_Meghalaya_State_NE_India_LD.jpg)
Specimen Type: holotype Sex: m Institution: Holzschuh Collection Photographer: Lubo Dembický Collection Location: Jowai, Jainta hills region, Meghalaya State, NE India 71286
|
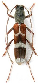
_Holzschuh_Coll_Jowai_Jainta_hills_region_Meghalaya_State_NE_India_LD.jpg)
Specimen Type: paratype Sex: f Institution: Holzschuh Collection Photographer: Lubo Dembický Collection Location: Jowai, Jainta hills region, Meghalaya State, NE India 71287
|