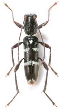
_Holzschuh_Coll_10kmN_Muang_Tha_Teng_N_Bolavens-Plateau_Sekong_Prov_S_Laos_LD.jpg)
Specimen Type: holotype Sex: m Institution: Holzschuh Collection Photographer: Lubo Dembický Collection Location: 10 km N Muang Tha Teng, N Bolavens-Plateau, Sekong Province, S Laos 71278
|
_Holzschuh_Coll_10kmN_Muang_Tha_Teng_N_Bolavens-Plateau_Sekong_Prov_S_Laos_LD.jpg)
Specimen Type: paratype Sex: f Institution: Holzschuh Collection Photographer: Lubo Dembický Collection Location: 10 km N Muang Tha Teng, N Bolavens-Plateau, Sekong Province, S Laos 71279
|