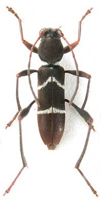
_Holzschuh_Coll_Ban_Si_Lang_Mae_Hong_Son_NW_Thailand_LD.jpg)
Specimen Type: holotype Sex: m Institution: Holzschuh Collection Photographer: Lubo Dembický Collection Location: Ban Si Lang, Mae Hong Son, NW Thailand 71291
|
_Holzschuh_Coll_Ban_Si_Lang_Mae_Hong_Son_NW_Thailand_LD.jpg)
Specimen Type: paratype Sex: f Institution: Holzschuh Collection Photographer: Lubo Dembický Collection Location: Ban Si Lang, Mae Hong Son, NW Thailand 71292
|