New Search Family, Subfamily and Tribe List

SubFamily Lamiinae

Tribe Saperdini
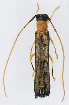
Oberea rubroantennalis Lin & Ge 2017

Sex: f
Photographer: Meiying Lin
Collection Location: Qinling Mountains, China
73397


Sex: f
Photographer: Meiying Lin
Collection Location: Qinling Mountains, China
73398

130425