_Holzschuh_coll_Nilgiri_Hills_Tamil_Nadu_S_India_Lubos.jpg)
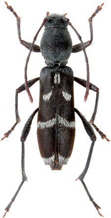
Specimen Type: holotype Sex: m Institution: Holzschuh Collection Photographer: Lubo Dembický Collection Location: Nilgiri Hills, Tamil Nadu, S India 67143
|
_Holzschuh_coll_Nilgiri_Hills_Tamil_Nadu_S_India_Lubos.jpg)
Specimen Type: paratype Sex: f Institution: Holzschuh Collection Photographer: Lubo Dembický Collection Location: Nilgiri Hills, Tamil Nadu, S India 67144
|