New Search Family, Subfamily and Tribe List

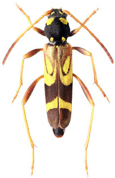
SubFamily Cerambycinae

Tribe Clytini
Clytus paradisiacus Rapuzzi & Jenis 2015

Photographer: Ivo Jenis
Collection Location: Paradeisia, Megalopoli, Arcadia nomos, Peloponnesia, Greece
79077

130425