
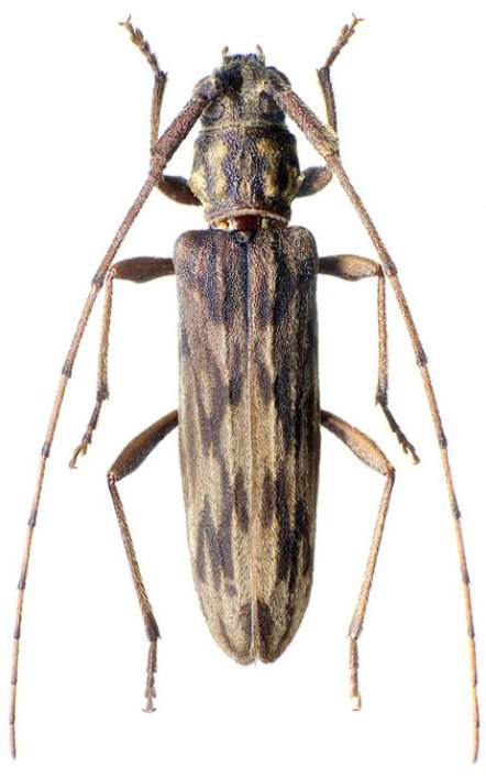
Specimen Type: holotype Sex: m Institution: Bonneau Collection Photographer: Carlo Vitali, Cerambycoidea Forum Collection Location: Toliara (Tulear) Atsimo-Andrefana Region, Madagascar 66949
|
_Tulear_Madagascar_Patrick_Bonneau_forum.jpg)
Specimen Type: holotype Sex: m Institution: Bonneau Collection Photographer: Patrick Bonneau Collection Location: Toliara (Tulear) Atsimo-Andrefana Region, Madagascar 66950
|
_Tulear_Madagascar_Patrick_Bonneau_forum.jpg)
Specimen Type: holotype Sex: m Institution: Bonneau Collection Photographer: Patrick Bonneau Collection Location: Toliara (Tulear) Atsimo-Andrefana Region, Madagascar 66951
|
 Bonneau Vitali Ankofia River, Ambodimanga, Madagascar Jenis.jpg)
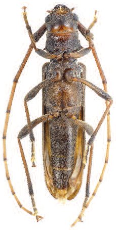
Sex: m Photographer: Ivo Jenis Collection Location: Ankofia River, Ambodimanga, Madagascar 89331
|
|