
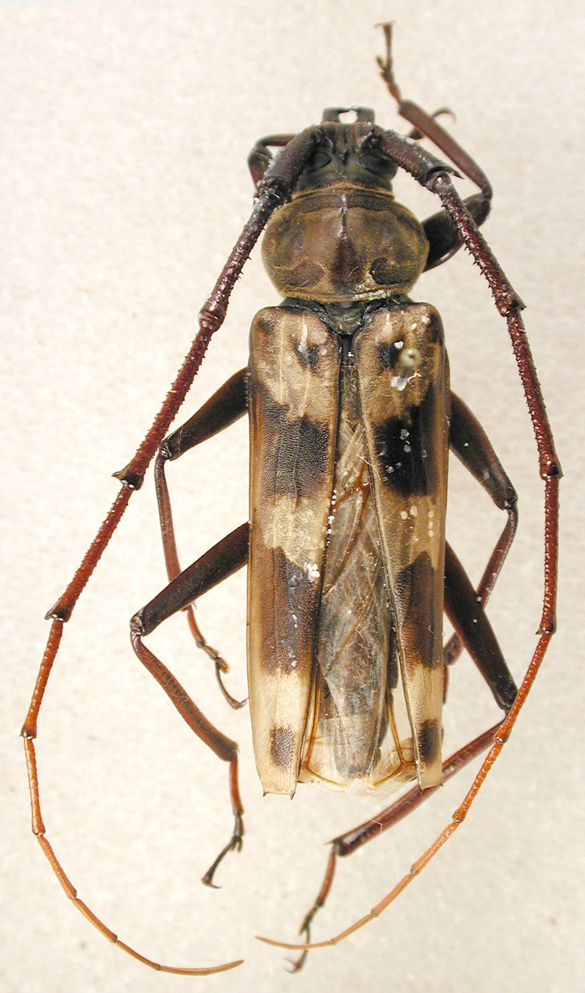
Institution: JCPC Jim Cope Collection, San Jose, California, USA now at CSCA, Sacramento Photographer: Larry G. Bezark Determiner: Jim Cope Collection Location: Obout, Centre, Cameroon 100239
|

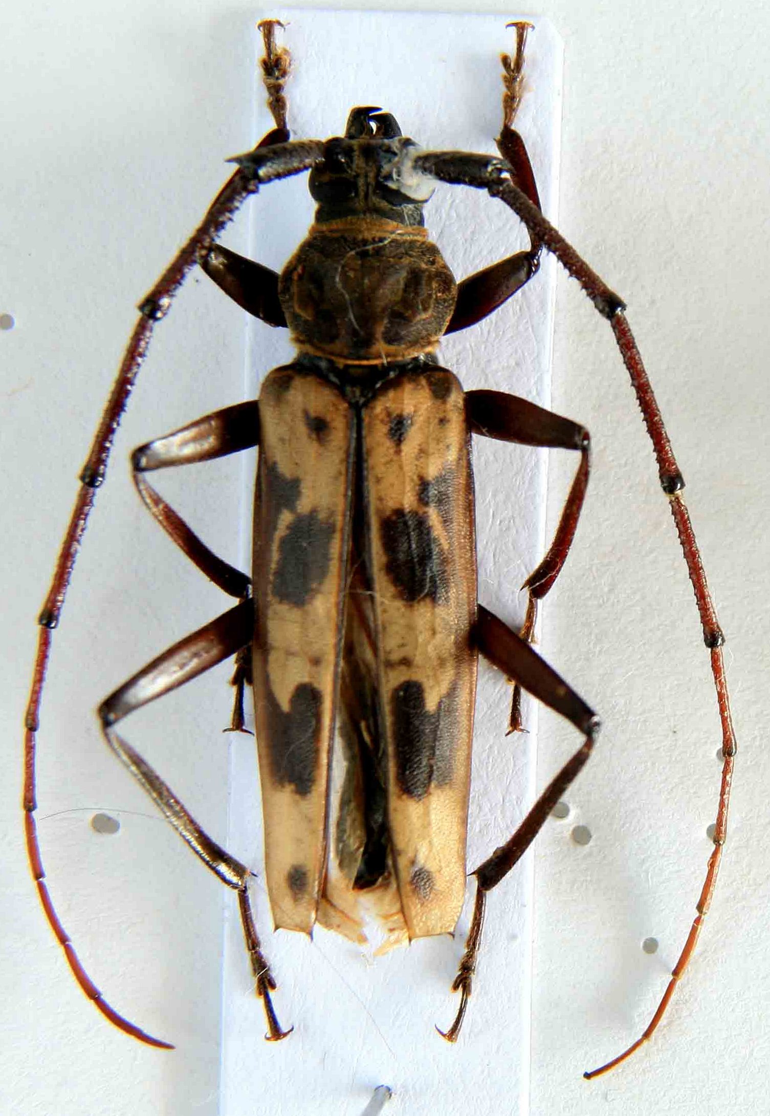
Photographer: Carlo Vitali, Cerambycoidea Forum Collection Location: Cameroon 66947
|