
Institution: JCPC Jim Cope Collection, San Jose, California, USA now at CSCA, Sacramento Photographer: Larry G. Bezark Determiner: Jim Cope Collection Location: Zilo, Katanga DR Congo 100235
|

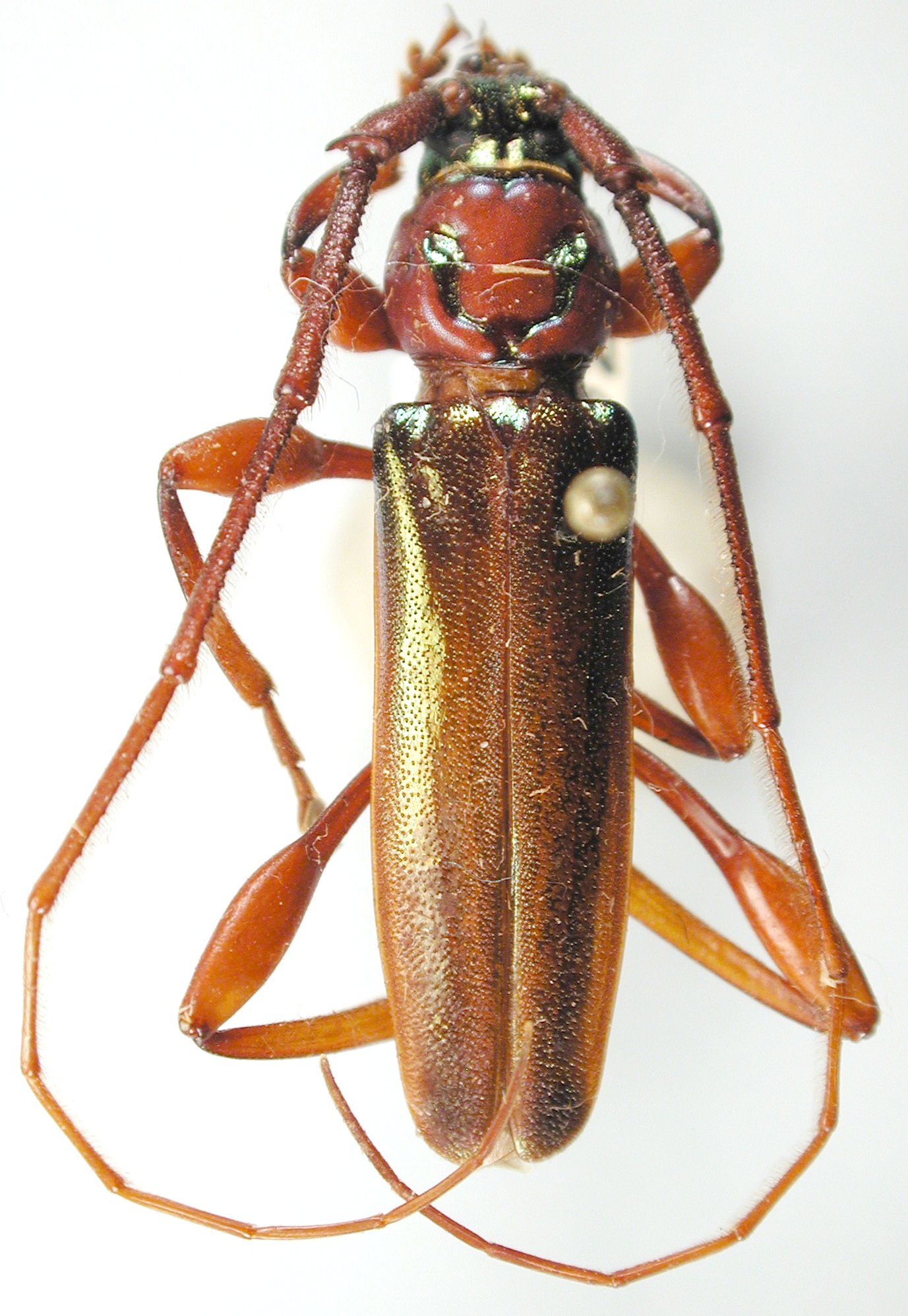
Institution: JCPC Jim Cope Collection, San Jose, California, USA now at CSCA, Sacramento Photographer: Larry G. Bezark Determiner: Jim Cope Collection Location: Zilo, Katanga DR Congo 100236
|

Institution: UCD University of California, Davis, California, USA Photographer: Larry G. Bezark Determiner: Jim Cope 66941
|
|