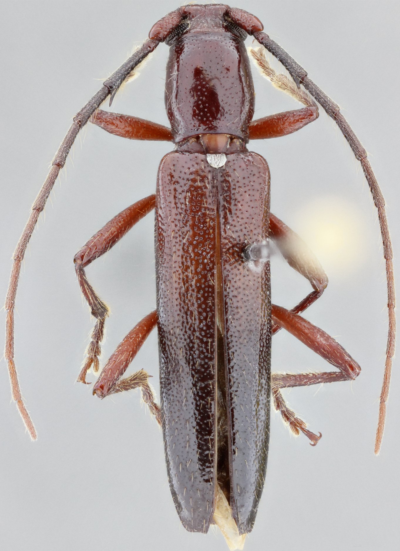
_SS_Bot_LeTirant_MZSP_Xalitla_Guerrero_Mex_SS.jpg)
Specimen Type: holotype Sex: f Institution: MZSP Museu de Zoologia da Universidade de São Paulo, Brazil Photographer: Antonio Santos-Silva Collection Location: Xalitla, Guerrero, Mexico 66298
|
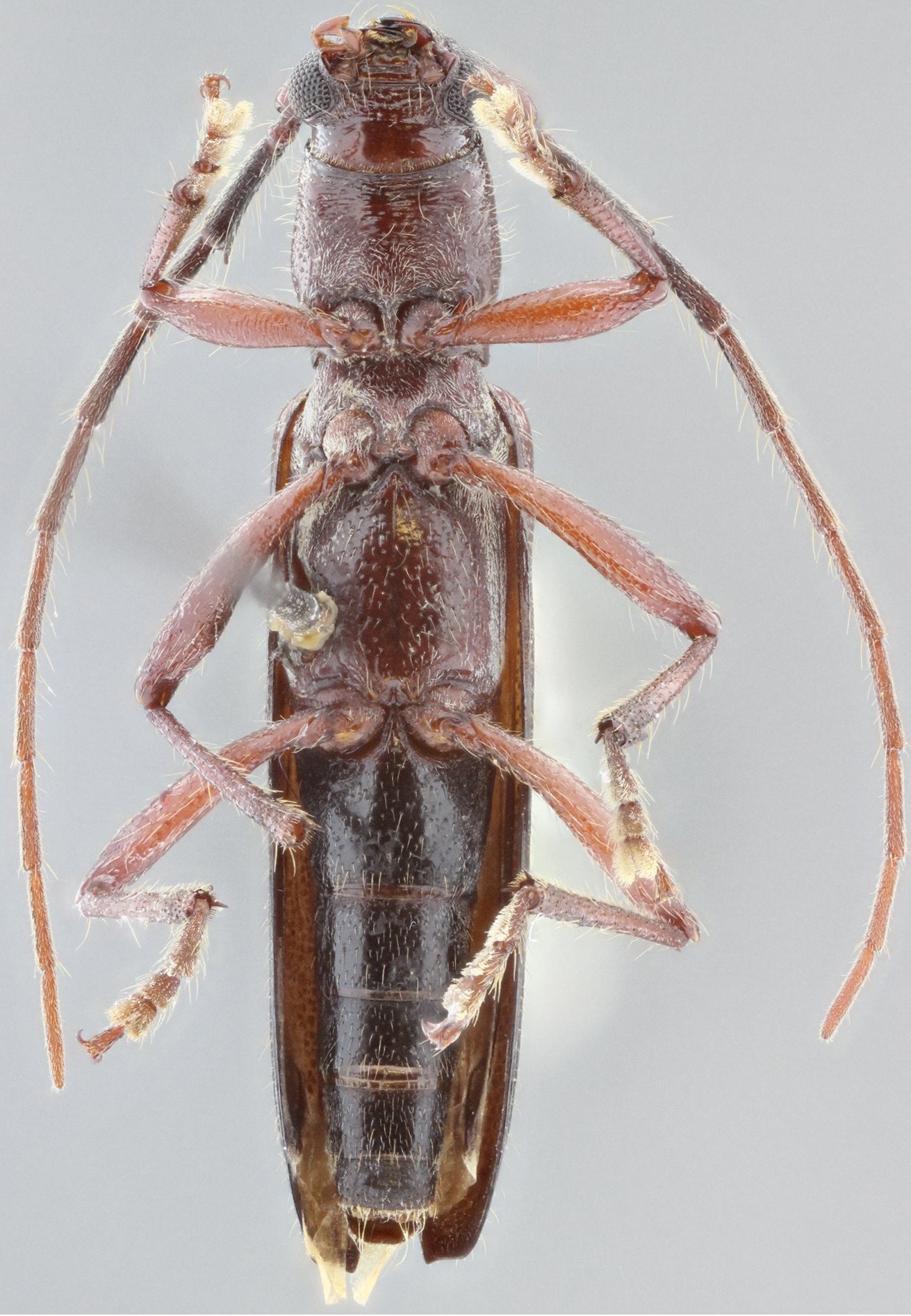
_SS_Bot_LeTirant_MZSP_Xalitla_Guerrero_Mex_SS.jpg)
Specimen Type: holotype Sex: f Institution: MZSP Museu de Zoologia da Universidade de São Paulo, Brazil Photographer: Antonio Santos-Silva Collection Location: Xalitla, Guerrero, Mexico 66299
|
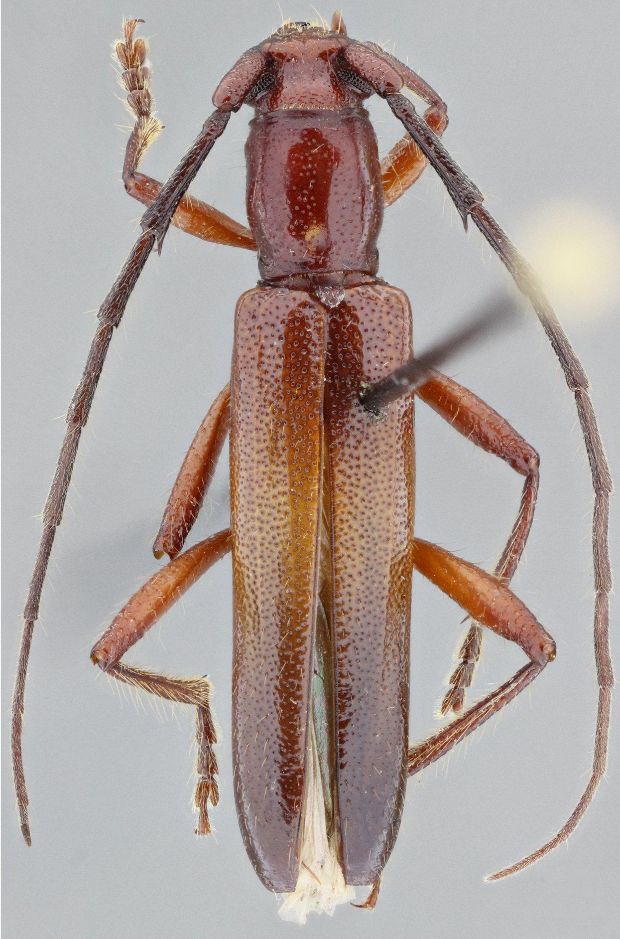
_SS_Bot_LeTirant_MZSP_Xalitla_Guerrero_Mex_SS.jpg)
Specimen Type: holotype Sex: f Institution: MZSP Museu de Zoologia da Universidade de São Paulo, Brazil Photographer: Antonio Santos-Silva Collection Location: Xalitla, Guerrero, Mexico 66300
|
_SS_Bot_LeTirant_MZSP_Xalitla_Guerrero_Mex_SS.jpg)
Specimen Type: holotype Sex: f Institution: MZSP Museu de Zoologia da Universidade de São Paulo, Brazil Photographer: Antonio Santos-Silva Collection Location: Xalitla, Guerrero, Mexico 66301
|
_SS_Bot_LeTirant_IMQC_Xalitla_Guerrero_Mex_SS.jpg)
Specimen Type: paratype Sex: m Institution: IMQC Insectarium de Montréal, Québec, Canada Photographer: Antonio Santos-Silva Collection Location: Xalitla, Guerrero, Mexico 66302
|
|