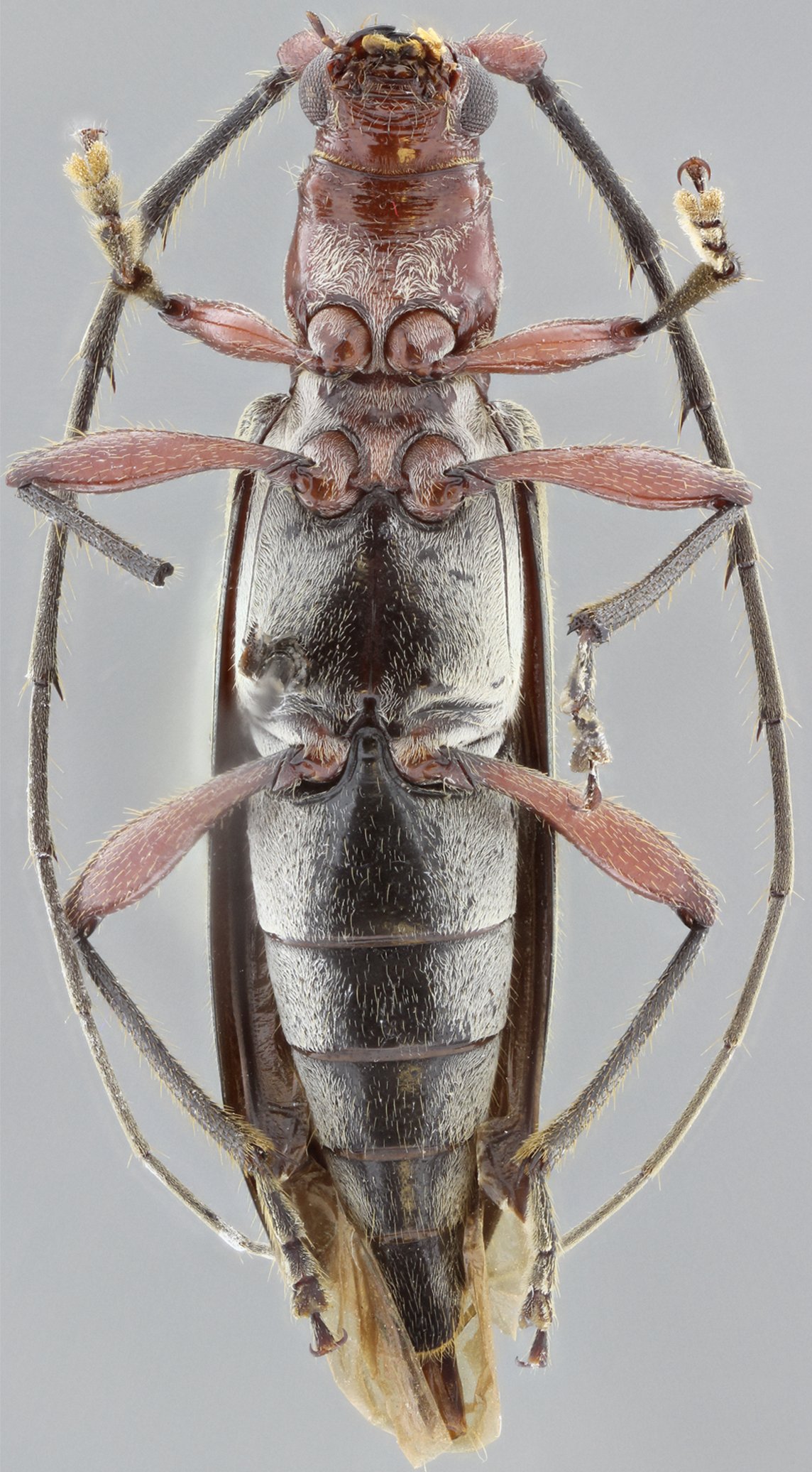
_SS_Bot_LeTirant_MZSP_Xalitla_Guerrero_Mex_SS.jpg)
Specimen Type: holotype Sex: f Institution: MZSP Museu de Zoologia da Universidade de São Paulo, Brazil Photographer: Antonio Santos-Silva Collection Location: Xalitla, Guerrero, Mexico 66288
|
_SS_Bot_LeTirant_MZSP_Xalitla_Guerrero_Mex_SS.jpg)
Specimen Type: holotype Sex: f Institution: MZSP Museu de Zoologia da Universidade de São Paulo, Brazil Photographer: Antonio Santos-Silva Collection Location: Xalitla, Guerrero, Mexico 66289
|
_SS_Bot_LeTirant_MZSP_Xalitla_Guerrero_Mex_SS.jpg)
Specimen Type: holotype Sex: f Institution: MZSP Museu de Zoologia da Universidade de São Paulo, Brazil Photographer: Antonio Santos-Silva Collection Location: Xalitla, Guerrero, Mexico 66290
|
_SS_Bot_LeTirant_MZSP_Xalitla_Guerrero_Mex_SS.jpg)
Specimen Type: holotype Sex: f Institution: MZSP Museu de Zoologia da Universidade de São Paulo, Brazil Photographer: Antonio Santos-Silva Collection Location: Xalitla, Guerrero, Mexico 66291
|
|